At the end of one line from LA and Watts were San Pedro and LA Harbour. In the days of large ocean liners, collecting passengers from the liner and transporting them into LA generated a lot of traffic through San Pedro.
San Pedro was adjoined by a maze of PE and Southern Pacific fright yards, that lay between the depot and the harbour itself. This old panorama gives the idea – the elegant PE depot can be seen centre left. Note the box motor in the foreground being unloaded.
This aerial photograph from 1952 clearly shows the depot and a couple of interurbans standing close by. Most of the freight lines have been lifted and replaced by the inevitable car parks.
San Pedro depot is an attractive building and would make a good model. These photographs show views from the town side. Note the vintage car, cop car and bus in the colour view. There are plenty of shots from the rail side available, but I have tried not to step on any copyright toes!
Of course, the full San Pedro station complex might be too large for a manageable model railway. But if we view the station from the harbour, it might just make a good N-club module. Here’s a view from the LA end of the station, showing the interesting track layout and the street beyond. (The depot and all the old structures have been demolished and redeveloped. Only the multi-storey municipal building remains.)
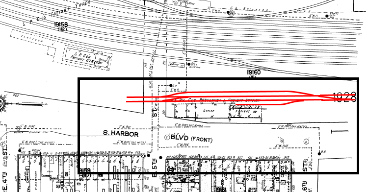
And this is the sort of layout one could build. Unfortunately most of the old valuation maps contained rail lines, but not the PE electric tracks. At least the depot is shown and gives some scale to the drawing. A model of the station tracks and the freight siding for box cabs would make a good pair of N-club modules. The road width behind could be compressed a little, to allow the shops and businesses to be included as background structures. These buildings would probably be modelled as representative structures, but there might just be room for a recognisable model of the municipal tower.
This is a very achievable PE layout – it would be simplified, but keep the character of the San Pedro location.





